Strzelał do psa z wiatrówki. Zwierzę ma w ciele ponad 50 pocisków

Strzelał do psa z wiatrówki. Zwierzę ma w ciele ponad 50 pocisków
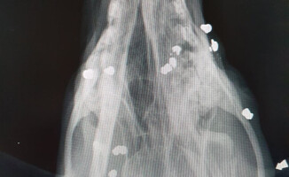
Ktoś strzelał z wiatrówki do bezdomnego psa tak długo, aż ten stracił wzrok i nie mógł dalej uciekać. W ciele czworonoga weterynarze znaleźli około 50 pocisków. Połowa z nich tkwi w okolicach czaszki.

Rannego psa znaleziono w okolicach Czarnkowa pod koniec czerwca. Wyglądał tak, jakby uległ wypadkowi. Początkowo przewieziono zwierzę do schroniska Azorek w Obornikach. Po udzieleniu pierwszej pomocy, zgodnie z procedurami, schronisko przekazało psa do lekarza weterynarii, z którym gmina ma podpisaną umową. Prześwietlenia pokazały, że w samej głowie zwierzęcia tkwi 26 pocisków. Po dalszych badaniach weterynarze znaleźli jeszcze ponad dwadzieścia. 

Bestialsko potraktowany pies będzie wymagał kilku operacji. Weterynarze jako pierwsze wyjmą pociski zlokalizowane przy ważnych narządach czworonoga. Potem będą usuwać następne. Zwierzę będzie niepełnosprawne do końca życia.

Policja poszukuje sprawcy. 

fot. schronisko Azorek w Obornikach

Galeria

Strzelał do psa z wiatrówki. Zwierzę ma w ciele ponad 50 pocisków Strzelał do psa z wiatrówki. Zwierzę ma w ciele ponad 50 pocisków Strzelał do psa z wiatrówki. Zwierzę ma w ciele ponad 50 pocisków Strzelał do psa z wiatrówki. Zwierzę ma w ciele ponad 50 pocisków Strzelał do psa z wiatrówki. Zwierzę ma w ciele ponad 50 pocisków Strzelał do psa z wiatrówki. Zwierzę ma w ciele ponad 50 pocisków

Komentarze